Por: Reynaldo Figueroa

Foto: Cortesía.

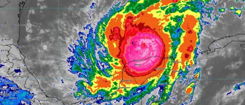
El huracán Milton se debilitó este martes a categoría 4 mientras avanza rumbo a la costa oeste de Florida, donde se prevé que toque tierra el miércoles.

Segundo gran huracán registrado en el golfo de México en dos semanas, “se prevé que Milton siga siendo un huracán extremadamente peligroso hasta que toque tierra en Florida”, afirmó el Centro Nacional de Huracanes (NHC) de Estados Unidos, precisando que la tormenta tiene ahora vientos sostenidos de 250 km/h.

Antes de llegar a Florida, Milton pasó cerca de la península de Yucatán en México la noche del lunes, provocando intensas lluvias, fuertes vientos y oleaje, pero sin reporte de daños mayores.

El estado de Yucatán suspendió las actividades no esenciales hasta el martes inclusive. Trabajadores cubrieron puertas y ventanas con tablas, mientras que pescadores arrastraron barcos a tierra. Hace apenas diez días, el huracán Helene provocó al menos 230 muertos en el sur de Estados Unidos.

elblog

San Salvador, El Salvador

Redacción

Ventas