Por: Enrique Ortiz

Foto | X

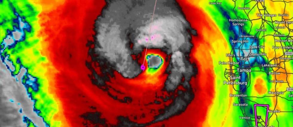
¡Helene se convirtió en un poderoso huracán de categoría 4! Y sus vientos máximos han aumentado a más de 215 kilómetros por hora (km/h).

Autoridades del Centro Nacional de Huracanes de Estados Unidos (HNC, por sus siglas en inglés) reportaron que ahora Helene es “extremadamente peligroso”.

El huracán alcanzó esta categoría mientras avanza desde el Golfo de México hacia las costas del estado de Florida.

Tras el fortalecimiento del huracán, el NHC exhortó a la población a “completar rápidamente las preparaciones para proteger la vida y la propiedad”.

También, el NHC emitió una advertencia de huracán para la costa del Golfo de Florida, desde el río Anclote hasta Mexico Beach. Además, una advertencia de marejada ciclónica está en vigor desde Mexico Beach hasta Flamingo, incluyendo Tampa Bay y Charlotte Harbor.

De acuerdo con Infobae, se espera que este fenómeno deje un considerable volumen de precipitaciones en las zonas afectadas por lo que se prevé que las áreas reciban entre 150 y 300 milímetros de lluvia, con acumulaciones puntuales de hasta 508 milímetros. “Este nivel de lluvia podría producir inundaciones catastróficas y potencialmente mortales en áreas urbanas y rurales”, agregó el citado medio.

elblog

San Salvador, El Salvador

Redacción

Ventas